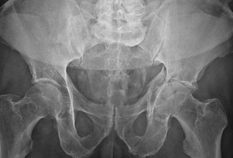
Pelvis Acetabular Trauma

Opening Hours

Monday - Saturday ( 9am - 6pm )

Sunday - Closed



Phone Icon+91 7087274019

Pelvis & Acetabular Trauma Specialist in Chandigarh

Specialized Pelvis & Acetabular Trauma Care in Chandigarh

Pelvic and acetabular injuries are among the most complex orthopedic conditions, demanding a high level of expertise for effective treatment. At our orthopedic clinic in Chandigarh, we provide advanced care for these serious injuries, focusing on precision, compassion, and complete recovery. Led by Dr. Ritesh Khokhar, a trusted orthopedic trauma specialist, our team is dedicated to restoring mobility, strength, and quality of life for every patient.

Understanding Pelvic and Acetabular Injuries

These injuries often result from high-impact events such as road accidents or significant falls, and they can affect multiple structures including bones, joints, ligaments, and even nearby organs. Such complexity requires a thorough and timely diagnosis to ensure the best possible outcome. At our clinic, we use advanced imaging and assessment techniques to fully evaluate the extent of the damage before recommending a personalized treatment plan.

Pelvis & Acetabular Trauma Specialist in Chandigarh

Comprehensive Treatment for Complex Trauma

Every patient’s injury is unique, and so is their treatment. Depending on the case, we offer both non-surgical and surgical approaches, ranging from precise bone alignment through closed or open reduction techniques to minimally invasive procedures that speed up recovery.

Recovery and Rehabilitation Support

Pelvic and acetabular trauma impacts more than just the injured bone—it affects every aspect of daily living. That’s why we combine surgical expertise, targeted physiotherapy, and ongoing patient education to ensure recovery is complete in both body and mind.

Committed to Excellence in Trauma Care

With Dr. Ritesh Khokhar’s extensive experience in complex pelvic and acetabular cases, state-of-the-art diagnostic and surgical facilities, and individually tailored rehabilitation plans, we provide care that meets the highest medical standards. Every patient receives dedicated attention and a clear recovery pathway, ensuring they heal stronger and move forward with confidence.

Frequently asked question

Pelvic fractures involve the bones that make up the pelvis, while acetabular fractures affect the socket of the hip joint. These injuries often occur together and can be caused by high-impact trauma such as vehicle accidents or serious falls.

Pelvic and acetabular fractures are considered serious because they can affect not only the bones and joints but also surrounding ligaments, muscles, and internal organs. Without prompt and accurate treatment, they may lead to long-term mobility problems or complications.

Treatment depends on the type and severity of the fracture. Some cases can be managed with non-surgical methods, while others require surgical intervention such as open reduction and internal fixation or minimally invasive procedures. Advanced imaging helps us decide the most effective approach.

Recovery involves more than just bone healing. Patients usually undergo a structured rehabilitation program to restore strength, mobility, and stability. This process may take several months, with progress monitored closely by the medical and physiotherapy teams.

Most patients are able to return to their normal routines once they complete treatment and rehabilitation, although the timeline varies depending on the severity of the injury and overall health. Following medical advice and committing to the recovery plan are essential for the best outcome.

Why Choose Us

Experienced Orthopedic Specialist

Dr. Ritesh Khokhar brings years of experience and expertise in orthopedic care.

Dr Ritesh Khokhar Orthopedic Surgeon in Mohali

Comprehensive Services

Our clinic offers a complete range of orthopedic treatments, including non-surgical options

Why Choose Dr Ritesh Khokhar Orthopedic Care Chandigarh

Personalized Treatment Plans

Dr. Khokhar takes the time to listen to your concerns, conduct a thorough evaluation.

Why Choose Dr Ritesh Khokhar Orthopedic Care Chandigarh

Personalized Treatment Plans

Dr. Khokhar takes the time to listen to your concerns, conduct a thorough evaluation.

Google Reviews

Ready to Take the First Step Toward a Pain-Free Life?

Don’t let joint pain, injuries, or mobility issues hold you back. Whether it’s a sports injury, chronic arthritis, or post-surgery care — Dr. Ritesh offers expert orthopedic solutions tailored to your needs.

Book Your Appointment Today